As Good As It Gets Into Memorial Day

It's back to the 80s (without the 8-tracks or big hair). A stalled bubble of high pressure keeps us sunny much of this week with a few lonely, late-day T-showers Tuesday into Friday. No statewide soakings, just an early taste of July. It's hard getting the weather perfect. This is it. Check the blog for more details. -Todd Nelson

May 28, 2023 at 2:30AM

Twin Cities Weather Outlook For Memorial Day Monday

Looking ahead to Memorial Day Monday, beautifully warm and sunny weather looks to continue with highs warming back into the 80s. If you have outdoor plans through the day or plan on attending any memorial services, there won't be any weather worries. It looks very nice and quiet. Just don't forget the SPF!

Memoria Day Weather Outlook For The Twin Cities (Praedictix/The Minnesota Star Tribune)

Up North Forecast For Memorial Day Monday

Hard to believe that our Memorial Day Weekend has been as nice as it has been already, but it looks to continue through the rest of the long weekend. Sunday and mild temps warming into the low/mid 80s will stretch into Memorial Day tomorrow - Enjoy!

Weather Outlook For Memorial Day Monday (Praedictix/The Minnesota Star Tribune)

Weather Outlook For Memorial Day Monday

Here's the weather outlook across the rest of state on Memorial Day. High temps will warm into the 80s for many locations, which will be nearly +10F to +20F above average for the end of May. Isolated t-showers will be possible in the far northwestern corner of the state near the Red River Valley.

Weather Outlook For Memorial Day Monday (Praedictix/The Minnesota Star Tribune)
Highs From Average on Memorial Day Monday (Praedictix/The Minnesota Star Tribune)

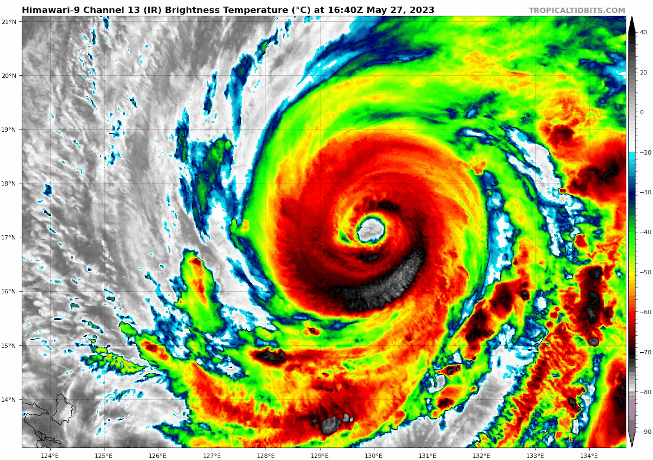
"Super Typhoon Mawar strengthens into most powerful storm on Earth in more than 2 years"

"The record-setting storm is among the 10 most powerful on record globally. The most powerful storm system on Earth in more than two years, Super Typhoon Mawar, is raging through the Pacific, stirring up 70-foot waves amid 200 mph gusts as the atmospheric buzz saw cruises over warm ocean waters. The meteorological monstrosity could maintain Category 5-equivalent strength for days before weakening upon eventual approach to Taiwan. The storm passed just north of Guam as a Category 4 on Wednesday, lashing the island with winds in the Category 2 range and flooding rains. Now it's resurged to Category 5 force, and is among the top 10 strongest storms to occur globally since 2000. Mawar matches the strongest storms ever observed worldwide during the month of May, and beats out anything seen globally in 2022. While the storm is a product of natural randomness, it fits into a pattern of more intense storms, and storms more prone to rapid intensification, in an era earmarked by warming oceans and human-induced climate change. As of Friday morning Eastern time, Mawar had winds of 145 knots, or 165 mph. It was perfectly symmetrical on satellite, portending extreme fury surrounding an eerily calm and hollowed-out eye. Gravity waves, or undulations in the top of the cloud cover, can be seen propagating through Mawar's overcast; that's where the extreme upward motion of the eyewall has sent density ripples through the tropopause, or the "ceiling" of the lower atmosphere."

Super Typhoon Mawar From Saturday (Tropical Tidbits/The Minnesota Star Tribune)

Weather Outlook Through Next Week

Thanks to a large bubble of high pressure stalled over the Great Lakes Region, sunny and mild weather conditions will remain in place across the Upper Midwest through at least Monday. The high will slowly nudge east after Monday, which will allow more unsettled weather to creep back into the picture throughout most of next week. Daily afternoon thunderstorms will be possible across much of the state with pockets of locally heavy rainfall.

Weather Outlook Through Next Friday (Tropical Tidbits/The Minnesota Star Tribune)

Cape Values Into Next Week

One of the weather parameters that we look at in the summertime is CAPE, which stands for Convective Available Potential Energy. This basically means that if and when surface temperatures get warm enough and air parcels start rising, how much energy is there in the atmosphere to produce thunderstorms. The loop below shows that elevated CAPE values being to creep back into the region PM Tuesday and linger through most of next week. This indicates and weather conditions look to be changing with daily thunderstorms chances across the state next week. Stay tuned!

CAPE Values Into Next Week (WeatherBell/The Minnesota Star Tribune)

Extended Precipitation Outlook

According to NOAA's Weather Prediction Center, areas of rain will finally return after a very dry stretch. In fact, May 18th was the last measurable precipitation at the MSP Airport and it doesn't look like we'll see any rain potential until Tuesday. that would be an 11 day stretch of dry weather.

Extended Precipitation Outlook (WeatherBell & NOAA's WPC/The Minnesota Star Tribune)

Twin Cities Weather Outlook For Sunday

The weather outlook for the Twin Cities on Sunday May 28th shows another sunny and mild day with highs warming into the lower 80s. Skies might be a little smoky/hazy at times, but it will be a very nice day overall.

Twin Cities Weather Outlook For Sunday (Praedictix/The Minnesota Star Tribune)

Weather Outlook on Sunday

Temps on Sunday will be nearly +10F to +20F above average across the region with highs warming mainly into the 80s. A few communities in the Red River Valley will warm to near 90F.

Weather Outlook For Sunday (Praedictix/The Minnesota Star Tribune)
Highs From Average on Sunday (Praedictix/The Minnesota Star Tribune)

Meteograms For Minneapolis

The hourly temps through the day Sunday show temps starting in the mid 50s in the morning and warming into the lower 80s by the afternoon. Skies will generally be sunny with southeasterly wind around 10mph to 15mph at times.

Hourly Temps & Sky Conditions For Minneapolis on Sunday (Praedictix/The Minnesota Star Tribune)
Hourly Wind Gusts & Direction For Minneapolis on Sunday (Praedictix/The Minnesota Star Tribune)

Extended Temperature Outlook For Minneapolis

Temperatures through the weekend and into early next week show a gradual warming trend with A/C worthy temps next week as we approach the 90F mark.

5 Day Temperature Outlook For Minneapolis (Praedictix/The Minnesota Star Tribune)

Extended Weather Outlook For Minneapolis

The extended weather outlook for the Twin Cities remains dry through Memorial Day Monday with a gradual trend toward more unsettled skies next week as temps and humidity values creep back to more uncomfortable levels.

7 Day Temperature Outlook For Minneapolis (Praedictix/The Minnesota Star Tribune)

Extended Temperature Outlook

The NBM extended temperature outlook for Minneapolis shows a string a very warm temps in place through the end of May and into early June. Next week looks almost hot with readings approaching the 90F mark - Uffda!

Extended Temperature Outlook For Minneapolis (WeatherBell & NOAA's NBM/The Minnesota Star Tribune)

Weather Outlook

A fairly large bubble of high pressure will continue across the Great Lakes through the weekend, which will keep conditions in the Midwest warm and dry. Eventually this bubble of high pressure will move east allowing scattered showers and storms to move into the Midwest and closer to the Twin Cities.

Extended Weather Outlook Through Next Week (Tropical Tidbits/The Minnesota Star Tribune)

8 to 14 Day Temperature Outlook

According to NOAA's Climate Prediction Center, the 8 to 14-day temperature outlook shows warmer-than-average temperatures settling in across the Pacific Northwest with cooler than average readings across the Central and Northeastern US.

8 to 14 Day Temperature Outlook (NOAA CPC/The Minnesota Star Tribune)

8 to 14 Day Precipitation Outlook

According to NOAA's Climate Prediction Center, the 8 to 14 Day precipitation outlook shows more active weather possible across the western half of the nation. We may see drier weather continue in the Midwest/Great Lakes as well.

8 to 14 Day Precipitation Outlook (NOAA CPC/The Minnesota Star Tribune)

As Good As It Gets Into Memorial Day
By Paul Douglas

This almost makes up for April. Here in the Land of 10,000 Weather Gripes, it's been supernaturally nice out there. Now the atmosphere is just showing off, with one of the driest airmasses on record for late May. [note to self: we marooned indoors with 3 straight days of pouring rain on Memorial Day weekend]. With the possible exception of Twitter, I'm not hearing any complaints. OK, a whispers of dazed discomfort. It sure is drying out in a hurry, Paul. Crunchy humidity cranking up the fire risk eh? All true.

Memorial Day is the 11th dry day in a row at MSP, during what is historically our wettest stretch of the year. May and June is monsoon season in Minnesota. We haven't seen a puddle-free stretch in May this long since 1955.

It's back to the 80s (without the 8-tracks or big hair). A stalled bubble of high pressure keeps us sunny much of this week with a few lonely, late-day T-showers Tuesday into Friday. No statewide soakings, just an early taste of July. It's hard getting the weather perfect. This is it.

Extended Forecast

SUNDAY: Warm sunshine. Winds: SE 10-15. High: 83.

SUNDAY NIGHT: More clouds Winds: SSE 5-10. Low: 61.

MEMORIAL DAY MONDAY: Sunny and perfect. Winds: S 10-20. High: 86.

TUESDAY: Some sun, isolated T-storm late? Winds: S 10-20. Wake-up: 63. High: 85.

WEDNESDAY: More humid, late-day T-storm. Winds: S 8-13. Wake-up: 63. High 84.

THURSDAY: Morning sun, few late PM storms. Winds: S 5-10. Wake-up: 62. High 86.

FRIDAY: Ditto. AM sun, few PM T-storms. Winds: SE 7-12. Wake-up: 64. High 85

SATURDAY: T-storms taper, some PM clearing? Winds: E 8-13. Wake-up: 63. High: 79.

This Day in Weather History

May 28th

1965: Late season snow falls across much of Minnesota with Duluth and Caribou reporting an inch.

Average High/Low for Minneapolis

May 28th

Average High: 73F (Record: 100F set in 2018)

Average Low: 54F (Record: 36F set in 1889 & 1965)

Record Rainfall: 2.08" set in 1899

Record Snowfall: Trace set in 1965

Twin Cities Almanac For May 28th (Praedictix/The Minnesota Star Tribune)

Sunrise/Sunset Times for Minneapolis

May 28th

Sunrise: 5:32am

Sunset: 8:48pm

Hours of Daylight: ~15 hours & 16 minutes

Daylight GAINED since yesterday: +1 Minute & 39 Seconds

Daylight GAINED since Winter Solstice (December 21st): ~ 6 hour & 30 minutes

Moon Phase for May 28th at Midnight

1.7 Days Since First Quarter Moon

Moon Phase For May 28th at Midnight (Weather/The Minnesota Star Tribune)

National High Temps on Sunday

Temperatures on Sunday will be very mild across the northern tier of the nation with highs running above average by nearly +5F to +15F. Meanwhile, weather conditions through the Mid-Atlantic States will remain well below average as a slow moving storm system continues to drop steady rains.

National Weather Outlook For Sunday (Praedictix/The Minnesota Star Tribune)
National Highs From Average on Sunday (Praedictix/The Minnesota Star Tribune)

National Weather Sunday

The weather outlook on Sunday will be unsettled across the Plains with a few spotty t-storms, some of which could be strong to severe with locally heavy rainfall. Areas of rain and thunder will also be possible through the Mid-Atlantic States.

National Weather Map For Sunday (Praedictix/The Minnesota Star Tribune)

National Weather Outlook

The weather outlook through Friday shows spotty showers and storms developing across the Plains and also in the Southeastern US. There could be a few isolated strong to severe storms here and there, but it won't be too widespread.

National Weather Outlook Through Monday (NOAA WPC/The Minnesota Star Tribune)

Extended Precipitation Outlook

According to NOAA's Weather Prediction Center, the extended precipitation outlook shows heavier precipitation across parts of the Central Plains and also the Southeastern US. A few locations could see 1" to 3" of rain over the next several days, including the Mid-Atlantic States.

Extended Precipitation Outlook (NOAA WPC/The Minnesota Star Tribune)

Climate Stories

(NOAA/The Minnesota Star Tribune)

"The Trillion-Dollar Auction to Save the World"

"YOU ARE SEATED in an auction room at Christie's, where all evening you have watched people in suits put prices on priceless wonders. A parade of Dutch oils and Ming vases has gone to financiers and shipping magnates and oil funds. You have made a few unsuccessful bids, but the market is obscene, and you are getting bored. You consider calling it an early night and setting down the paddle. But then an item appears that causes you to tighten your grip. Lot 475: Adult blue whale, female. What is the right price for this masterwork of biology? Unlike a Ming vase, Lot 475 has never been appraised. It's safe to say that she is worth more than the 300,000 pounds of meat, bone, baleen, and blubber she's made of. But where does her premium come from? She has biological value, surely—a big fish supports the littler ones—but you wouldn't know how to quantify it. The same goes for her cultural value, the reverence and awe she elicits in people: immeasurable. You might conclude that this exercise is futile. Lot 475 is priceless. You brace for the bidding war, fearful of what the people in suits might do with their acquisition. But no paddles go up."

"U.S. Military Sees Growing Threat in Thawing Permafrost"

"Fox, Alaska, is a tiny town, but on Monday it hosted one of the Pentagon's senior officials for a unique tour. Deputy Defense Secretary Kathleen Hicks was there to see 360-foot-long tunnel that military engineers dug into the frozen ground more than 50 years ago. Its purpose is to help scientists and Pentagon officials better understand permafrost — and its research is growing in importance as the world warms. Climate change is rapidly altering the Arctic landscape, in particular the permafrost that serves as a foundation for buildings across the region. Warming temperatures are thawing out the frozen ground, and in the process it is threatening to unsettle structures that were built decades ago. That's particularly worrisome for the U.S. military, which maintains facilities across the Arctic region. And it's one reason Hicks embarked on a two-day tour of the nation's northernmost military bases. "Building and maintaining infrastructure — like runways — on permafrost presents unique challenges for Arctic nations — which are growing with the effects of climate change," Hicks wrote in a Twitter post on Monday. That's not the only concern. Melting Arctic sea ice is opening new shipping lanes, and that's attracted the notice of China and Russia, two of America's biggest geopolitical rivals. "The Arctic is incredibly strategically important. We can reach just about any theatre in the northern hemisphere from Alaska," Pentagon spokesperson Eric Pahon, who is traveling with Hicks, said in a telephone interview. "We have to be able to operate and support (military personnel and assets) in those theaters."

"NASA Before and After Images Show Rapid Melt of Alaska Snowpack"

"As spring temperatures spike, the thick snowpacks amassed over the winter are melting across the country, causing flooding and a variety of other issues in riverside communities. The Yukon River, in the center of Alaska, has experienced the impact of rapid snowmelt. As seen in images taken by Operational Land Imager (OLI) on the Landsat 8 satellite and the OLI-2 on Landsat 9, in the week between May 6 and May 14, the snowy landscape is transformed by spring, causing the river to flow intensely. Other rivers across Alaska also saw rapid melting and resultant flooding, prompting Governor Mike Dunleavy to declare a state of emergency on May 13. The rapid melting of ice can trigger ice jams in rivers, causing the river to burst its banks and flood nearby towns and villages."

Thanks for checking in and don't forget to follow me on Twitter @TNelsonWX

@TNelsonWX (The Minnesota Star Tribune)
about the writer

about the writer

Todd Nelson

See Moreicon

More from Minnesota Star Tribune

See More
card image
J. SCOTT APPLEWHITE, ASSOCIATED PRESS/The Minnesota Star Tribune

The "winners" have all been Turkeys, no matter the honor's name.

In this photo taken Monday, March 6, 2017, in San Francisco, released confidential files by The University of California of a sexual misconduct case, like this one against UC Santa Cruz Latin Studies professor Hector Perla is shown. Perla was accused of raping a student during a wine-tasting outing in June 2015. Some of the files are so heavily redacted that on many pages no words are visible. Perla is one of 113 UC employees found to have violated the system's sexual misconduct policies in rece